Looking for a home in the Central Florida Area? Call us at 386-424-0558

Listings

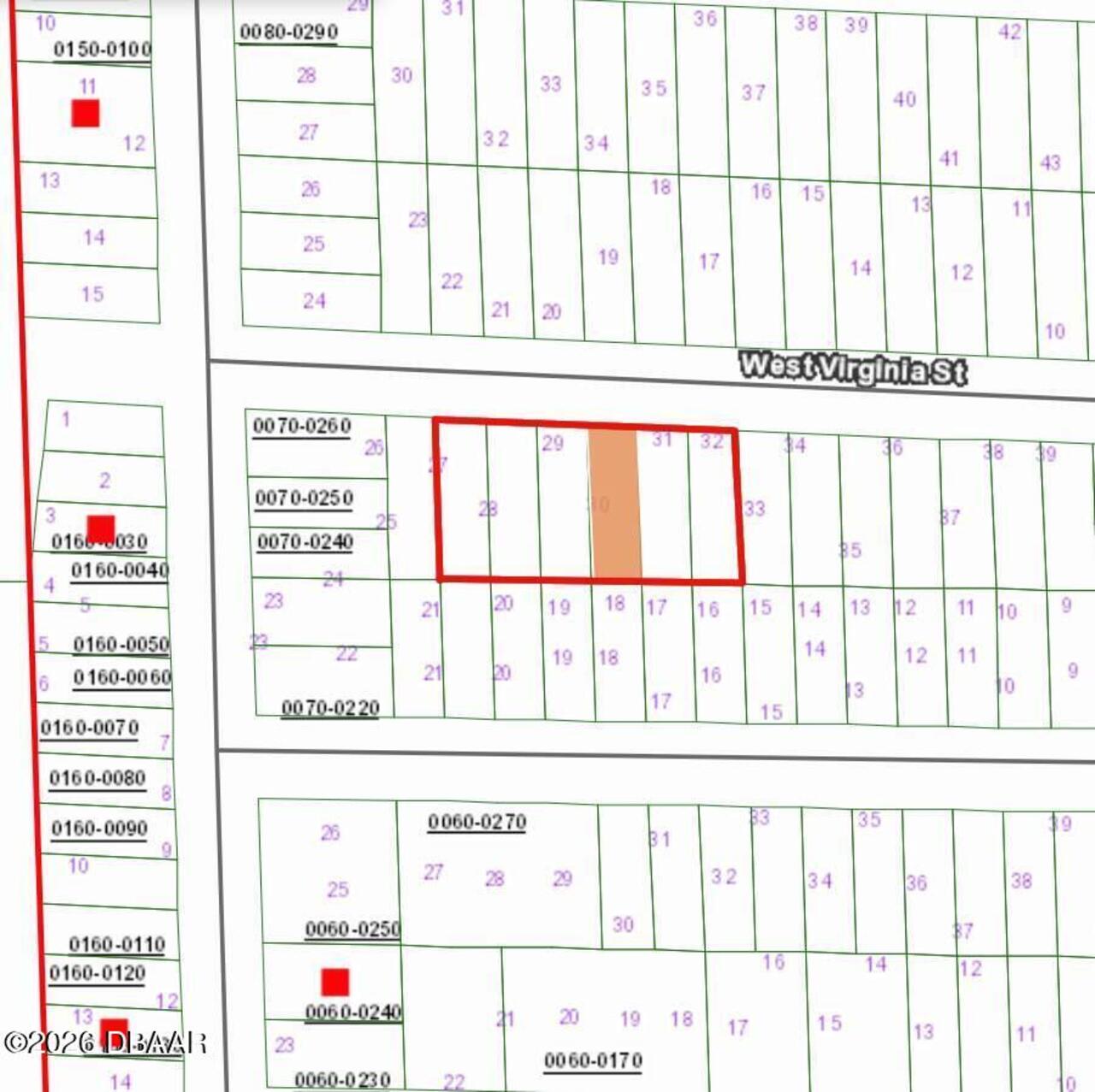
127 W Virginia Street, Hawthorne, FL

NEXT
PREV
$7,000

List Status: Active
127 W Virginia Street
Hawthorne, FL 32640


Top Features
  • Subdivision: Not In Subdivision
  • Unimproved Land
Description
Six Adjacent Lots! Nestled just a brief drive away from downtown Palatka via State Rd 20, these six adjacent lots offer a rare chance to create your dream haven or invest in a flourishing location. Whether you envision a serene retreat, a series of charming residences, or a lucrative development project, this canvas is ready for your creative touch. No build time requirements, allowing you to plan and execute your vision at your own pace. Secure one lot or seize the opportunity to own all six! Benefit from the convenience of nearby amenities, the allure of natural surroundings, and the promise of a prosperous investment. Embrace the chance to create the haven you've always dreamed of. Don't miss this extraordinary opportunity - Act now and make your offer today!
Property Details
Property Features
Property Sub Type
Unimproved Land
County
Putnam
Subdivision
Not In Subdivision
Additional Information
Area Major
99 - Other
Area Minor
99 - Other
Bathrooms Total Decimal
0.0
Contract Status Change Date
2026-01-21
Current Use Other10
Single Family
Documents Change Timestamp
2026-01-21T22:02:33Z
General Property Information CDD Fee YN
No
General Property Information Directions
From FL-20, north on Baden Powell Rd., right on West Virginia St., lot is 8th parcel on right
General Property Information List PriceAcre
63636.36
General Property Information Lot Size Dimensions
40x125
Listing Contract Date
2026-01-21
Listing Terms Other19
Cash, FHA, Conventional, VA Loan, Other
Location Tax and Legal Country
US
Location Tax and Legal Parcel Number
11-10-23-9306-0070-0310
Location Tax and Legal Tax Annual Amount
29.0
Location Tax and Legal Tax Legal Description4
WEST LAKE GARDENS REVISED PLAT
Location Tax and Legal Tax Year
2025
Location Tax and Legal Zoning Description
Single Family
Lot Features Other18
Wooded, Other
Lot Size Area
0.11
Lot Size Square Feet
4791.6
Lot Size Units
Acres
Major Change Timestamp
2026-04-07T15:42:47Z
Major Change Type
Price Reduced
Mls Status
Active
Modification Timestamp
2026-04-07T15:43:09Z
On Market Date
2026-01-21
Possession Other22
Close Of Escrow
Price Change Timestamp
2026-04-07T15:42:47Z
Road Surface Type Paved
Dirt
Sewer Unknown
Public Sewer
StatusChangeTimestamp
2026-01-21T22:02:32Z
Utilities Other29
Electricity Available
Neighborhood Map
Popup

Property Photos
Listing Photo
Listing Photo
Listing Photo
Listing Photo
Listing Photo
Listing Photo
Listing Photo
Listing Photo

MLS #1222025 Listing courtesy of Your Home Sold Guaranteed Realty provided by Daytona Beach Area Association Of REALTORS.

Similar Listings

$7,000
129 W Virginia Street
Hawthorne
| Active
$7,000
133 W Virginia Street
Hawthorne
| Active
$7,000
131 W Virginia Street
Hawthorne
| Active
$7,000
123 W Virginia Street
Hawthorne
| Active

View More Similar Listings >